|
CAYAPONIA
SSP FAMILIA
DAS CUCURBITACEAE |
AGRADECEMOS SUA VISITA E
DESEJAMOS QUE AS INFORMAÇÕES LHE SEJAM ÚTEIS PARA AJUDAR A PRESEVAR NOSSA
FLORA E MELHORAR A QUALIDADE DE VIDA. MAS GOSTARIA DE LEMBRAR QUE MUITO TRABALHO,
PESQUISAS E CUSTOS ESTÃO ENVOLVIDOS PARA PODER DISPONIBILIZAR INFORMAÇÕES
GRATUITAMENTE. DESSA FORMA APRECIAREMOS SUA COLABORAÇÃO EM ADQUIRIR OS GUIAS FRUTAS DO MATO OU
O LIVRO COLECINANDO FRUTAS
V. 2 PARA AJUDAR A MANTER O PROJETO, OU TAMBÉM ACEITAMOS
DOAÇÕES QUE PODERÁ NOS ESCREVER SOBRE NO E-MAIL QUE ESTÁ NO FINAL DESSA
PAGINA. |

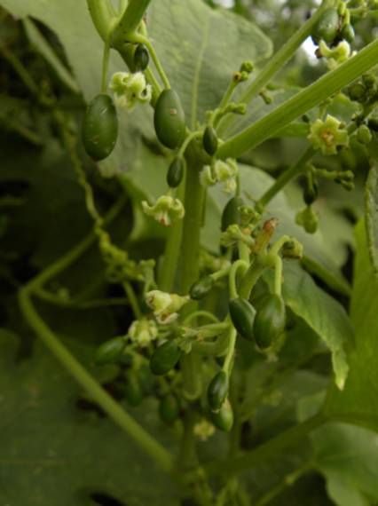
NOME COMUM: MELÃOZINHO DO MATO
OBSERVAÇÕES:
NO
SITIO FRUTAS RARAS ÀS VEZES TENHO SURPRESAS INESPERADAS COMO É O CASO DESSA
RARA TREPADEIRA QUE É MUITO SEMELHANTE A BUCHA QUE
NASCEU EM
MEU JARDIM E DEIXEI CRESCER PARA VER QUE FRUTA IA PRODUZIR. A PLANTA É UM CIPÓ
COM GAVINHAS MUITO SEMELHANTE A PLANTA DO MELÃO E
PRODUZ CACHOS DE FRUTINHOS DE ATÉ
Consulte-nos pelo e-mail hnjosue1980@gmail.com ou
veja nosso catalogo de mudas disponíveis
clicando aqui. – acompanhe-nos no Facebook
Voltar para fotos de frutas ou voltar para família das cucurbitaceas
.