CISSUS VERTICILLATA

 

FAMILIA DAS VITACEAE

 

 

AGRADECEMOS SUA VISITA E DESEJAMOS QUE AS INFORMAÇÕES LHE SEJAM ÚTEIS PARA AJUDAR A PRESEVAR NOSSA FLORA E MELHORAR A QUALIDADE DE VIDA. MAS GOSTARIA DE LEMBRAR QUE MUITO TRABALHO, PESQUISAS E CUSTOS ESTÃO ENVOLVIDOS PARA PODER DISPONIBILIZAR INFORMAÇÕES GRATUITAMENTE. DESSA FORMA APRECIAREMOS SUA COLABORAÇÃO EM ADQUIRIR OS GUIAS FRUTAS DO MATO OU O LIVRO COLECINANDO FRUTAS V. 2 PARA AJUDAR A MANTER O PROJETO, OU TAMBÉM ACEITAMOS DOAÇÕES QUE PODERÁ NOS ESCREVER SOBRE NO E-MAIL QUE ESTÁ NO FINAL DESSA PAGINA.  

 

                                                                                                              

PLANTA

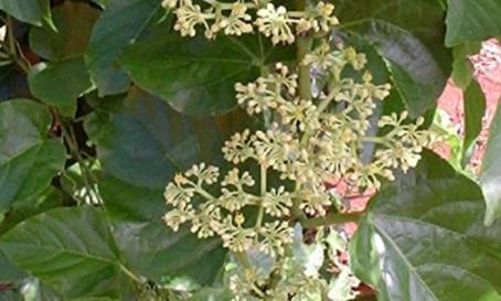
FLORES

 

 

 

 

FOTO

 

NÃO

 

DISPONIVEL

FRUTOS

FRUTOS, POLPA E SEMENTES

 

 

NOMENCLATURA E SIGNIFICADO: Caavurana etimologia não descoberta. Também é chamada de Insulina, Diabetil, Flor de Abelha e Anil trepador.

 

Origem: Ocorre desde a Florida nos E. U. A até o norte da Argentina. No Brasil ocorre nas bordas de matas das mais diversas formações florestais e em praticamente todos os estados. Mais informações no link:

http://servicos.jbrj.gov.br/flora/search/Cissus_verticillata

 

Características: Planta trepadora, perene, com ramos cilíndricos ou subretangulares (retangulares) glabros (sem pelos), com casca pardo esverdeada. As gavinhas são sempre opostas às folhas e surgem no ápice dos ramos, estas são perenes, fixando bem a planta como se estivessem amarradas por arames. As folhas são simples, ovais, ou triangulares de textura cartácea (de cartulina) sob pecíolos (haste ou suporte) de 1 a 8 cm de comprimento, glabro (sem pelo) ou pubérulo (com pelos densos) e canaliculado (como calha). Na base do pecíolo existem estipulas (tipo de folha modificada) falcadas (como foice) e caducas. Essa espécie é facilmente identificada pelas raízes adventícias que saem do cipó e que parecem linhas descendo ao chão. A lamina foliar tem base cordada (como coração) e ápice agudo (com ponta longa) ou arredondado com 2,5 a 20 cm de comprimento por 1,7 a 17 cm de largura. As flores surgem em umbelas (cacho em forma de guarda-chuva revirado) com pedúnculo (haste ou suporte) verdes de 3,5 a 5,2 cm de comprimento. As flores são brancacentas de 1 a 2 mm de comprimento e produzem grande quantidade de pólen e néctar atraindo diversas espécies de abelhas. O fruto é uma baga preta redonda de 1 cm de comprimento.

 

Dicas para cultivo: A planta é resistente a geadas de até – 3 graus, podendo suportar algum período de seca. Pode ser cultivada em qualquer altitude, no sol ou na sombra. É muito rústica e adapta-se a qualquer tipo de solo. Pode ser cultivada em cercas de arames ou em parreiras feitas com 4 ou 6 mourões ou postes que tenham 2,20 m de comprimento que devem ser fincados numa distancia de 2 m de largura entre filas e 2,5 m entre mourões. As covas para se fincar os mourões devem ter 60 cm de profundidade de modo que sobre 1,60 na altura, aonde na cabeça dos mourões deve ser fixados arames que vão tutorar os galhos trepadores. Depois que os arames das bordas e centrais forem bem fixados, deve-se fazer uma malha passando arames nº 18 a 40 cm de distancia no sentido do comprimento e largura. Depois de pronta a parreira, fazer uma ou 2 covas de cada lado e na hora de plantar a muda é bom fincar uma taquara que leve o cipó até a rede de arames.

 

Mudas: As sementes são cordiformes (como coração), medem de 3 a 5 mm de comprimento e conservam o poder germinativo por até 8 meses depois de despolpadas e secas ao sol por um período de 5 horas. Germinam em 30 a 45 dias em qualquer substrato com alguma matéria orgânica. As mudas atingem 30 cm com 5 meses no viveiro. A planta também reproduz-se facilmente por estacas lenhosas ou maduras com 25 cm de comprimento e 1 cm de diâmetro que devem ser plantadas na primavera. As plantas iniciam frutificação com 1 a 2 anos após o plantio.

 

Plantando: As covas devem ter 40 cm nas três dimensões e ser preenchidas principalmente com folhas em decomposição + 1 kg de cinzas, 500g de calcário e 5 kg de esterco bem curtido. Pode ser plantada num espaçamento de 3 x 3 m ou 4 x 4 m entre plantas. Após o plantio irrigar com 10 l de água, depois repetir a mesma irrigação a cada quinze dias nos primeiros 3 meses. A melhor época de plantio é de novembro a março.

 

Cultivando: Deve-se observar o crescimento dos ramos e guiá-los até a malha de arame da parreira aonde as gavinhas vão se prender naturalmente. A cada 3 anos é bom fazer uma poda de limpeza tirando o excesso de ramos sobre a parreira. Adubar anualmente no inicio do verão com composto orgânico, pode ser 4 kg de composto orgânico bem curtido + 20 gr de N-P-K 10-10-10, distribuindo apenas na coroa do pé da planta, distanciados a 20 cm do caule.

 

Usos: Frutifica e floresce de dezembro a abril. Os frutos podem ser consumidos in natura em pequenas quantidades, pois o arilo contém oxálico de cálcio que faz com que a língua fique picando. Os índios faziam uma bebida fermentada semelhante ao vinho com os frutos maduros. A planta é cultivada como medicinal e pelo seu grande potencial apícola.

 

Consulte-nos pelo e-mail hnjosue1980@gmail.com  ou veja nosso catalogo de mudas disponíveis clicando aqui.  acompanhe-nos no Facebook

 

Voltar para Frutas do mato ou Voltar para Vitaceae

 

.