CORDIERA ELLIPTICA

 

FAMÍLIA DAS RUBIACEAE

 

 

AGRADECEMOS SUA VISITA E DESEJAMOS QUE AS INFORMAÇÕES LHE SEJAM ÚTEIS PARA AJUDAR A PRESEVAR NOSSA FLORA E MELHORAR A QUALIDADE DE VIDA. MAS GOSTARIA DE LEMBRAR QUE MUITO TRABALHO, PESQUISAS E CUSTOS ESTÃO ENVOLVIDOS PARA PODER DISPONIBILIZAR INFORMAÇÕES GRATUITAMENTE. DESSA FORMA APRECIAREMOS SUA COLABORAÇÃO EM ADQUIRIR OS GUIAS FRUTAS DO MATO OU O LIVRO COLECINANDO FRUTAS V. 2 PARA AJUDAR A MANTER O PROJETO, OU TAMBÉM ACEITAMOS DOAÇÕES QUE PODERÁ NOS ESCREVER SOBRE NO E-MAIL QUE ESTÁ NO FINAL DESSA PAGINA.  

 

 

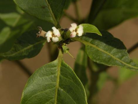
FLORES MASCULINAS

FLORES FEMININAS

 

FRUTOS, POLPA E SEMENTES

 

NOME INDIGENA: PURUI-PEBA vem do Tupi-guarani e quer dizer “Fruta acre e doce” isso porque lembra o sabor forte da marmelada, com um doce muito agradável e “peba” quer dizer chato referindo aos polos achatados dos frutos. Também chamado de Marmelada de pinto, Marmelada azulada ou Marmelinho do mato.

 

Origem: planta rara e ocasional aparecendo no sub-bosque da floresta semidecidual de altitude e nas matas de galerias do cerradão, presentes do Pará, Tocantins, Goiás, Minas Gerais, Bahia, Mato Grosso e Mato Grosso do Sul, Brasil. Mais informações no link: http://servicos.jbrj.gov.br/flora/search/Cordiera_elliptica

 

Características: Arbusto de 60 cm a 1,60 metros de altura, que forma pequenas touceiras, com tronco ou caule fino e curto de coloração enegrecida com casca descamando em tiras estreitas. É planta dioica, ou seja, existem plantas com flores masculinas e plantas com flores femininas (indivíduos separados). As folhas são opostas, simples e cartáceas (como cartolina) e facilmente identificada por ter entre os pecíolos (haste ou suporte canaliculado de 6 a 10 mm de comprimento) uma estipula (tipo de folha modificada) e pontiaguda. A lamina foliar mede 5 a 10 cm de comprimento por 2,5 a 3,5 cm de largura e são esverdeadas na face superior e opacas na face inferior. As flores são terminais (surge na ponta dos ramos); as masculinas são agrupadas em 3 a 6 flores sésseis (sem pedicelo ou suporte) e as femininas são solitárias e brancas. Os frutos são bagas de coloração azulada escura ou totalmente preta com 1,5 a 3 cm de diâmetro contendo de 10 a 30 sementes achatadas.

 

Dicas para cultivo: Planta de crescimento moderado que aprecia qualquer tipo de solos com boa fertilidade natural e rápida drenagem. Aprecia clima tropical úmido a subtropical úmido nos morros, com temperatura media de 8,2 a 25,5 graus, com variações grandes que podem chegar a máxima de 38 graus no verão e mínimas de até – 4 graus com cerca de 3 a 7 geadas que a planta resiste muito bem. Quanto às chuvas o índice pluviômetro anual varia de 1.200 a 2.700 mm anuais. Pode ser cultivada desde o nível do mar até 1.350 m de altitude; tanto na beira de rios em locais sombreados onde podem ocorrer inundações, onde a planta resiste até 20 dias submersa ou em locais pedregosos e secos. O pH ideal da terra deve estar entre 5,0 a 6,5, e boas safras ocorrem quando a umidade do ar está em torno de 70% e é constante.

 

Mudas: As sementes são pequenas,  achatadas e recalcitrantes (perdem o poder germinativo se forem secadas) e devem ser plantadas em no máximo 20 dias depois de colhidas. Pode-se plantar em sementeira com substrato composto de: 1 parte de areia, 2 partes de terra vermelha e 1 parte de esterco bem curtido. A germinação ocorre em 25 a 40 dias e o crescimento das mudas é moderado. O transplante da sementeira é feito quando as plântulas atingem 10 cm de altura, ocasião em que devem ficar em local sombreado por cerca de 1 mês, sendo irrigadas generosamente. A planta inicia a frutificação com 3 a 4 anos ou até com 2 anos quando cultivada em vasos com 30 cm de largura e 40 cm de altura contendo o mesmo substrato indicado acima.

 

Plantando: Recomendo que seja plantada a pleno sol num espaçamento 3 ou 4 metros  entre plantas em covas abertas com no mínimo 2 meses antes do plantio, estas devem ter 50 cm nas 3 dimensões e convém misturar 30% de areia saibro + 7 pás de matéria orgânica aos 30 cm de terra da superfície da cova; misturando junto + 500 g de calcário e 1 kg de cinzas de madeira. A melhor época de plantio é outubro a novembro, convém irrigar 10 l de água após o plantio e a cada 15 dias se não chover.

 

Cultivando: A planta cresce rápido e não necessita de cuidados especiais, apenas deve-se cobrir a superfície com capim cortado e eliminar qualquer erva daninha que possa sufocar a planta. Deve-se fazer podas no fim do inverno para fazer a formação da planta eliminando ramos e brotos da base e todo o excesso de ramos que nascerem voltados para o interior da copa. Adubar com 4 kg de composto orgânico feito de esterco de galinha curtido e 30 gramas de NPK 10-10-10. Distribuir os nutrientes à 5 cm superficialmente a 20 cm do caule no inicio do mês de outubro.

 

Usos: Frutifica em janeiro a março. Os frutos tem gosto de doce de batata doce e são consumidos e são deliciosos para o consumo in natura. Com a polpa se pode fazer geleias, gelatinas, sorvetes e mousses saborosos. A planta pode ser cultivada como ornamental e os frutos atraem e alimentam diversas espécies de pássaros e pequenos mamíferos.  

 

Consulte-nos pelo e-mail hnjosue1980@gmail.com  ou veja nosso catalogo de mudas disponíveis clicando aqui.  acompanhe-nos no Facebook

 

 

 

Voltar para Frutas do Mato ou  Voltar para rubiaceae