|
POUTERIA
GARDNERII FAMILIA
DAS SAPOTÁCEAE |
AGRADECEMOS SUA VISITA E DESEJAMOS QUE AS
INFORMAÇÕES LHE SEJAM ÚTEIS PARA AJUDAR A PRESEVAR NOSSA FLORA E MELHORAR A
QUALIDADE DE VIDA. MAS GOSTARIA DE LEMBRAR QUE MUITO TRABALHO, PESQUISAS E CUSTOS
ESTÃO ENVOLVIDOS PARA PODER DISPONIBILIZAR INFORMAÇÕES GRATUITAMENTE. DESSA
FORMA APRECIAREMOS SUA COLABORAÇÃO EM ADQUIRIR OS GUIAS FRUTAS DO MATO OU O LIVRO
COLECINANDO FRUTAS V. 2 PARA AJUDAR A MANTER O PROJETO, OU TAMBÉM ACEITAMOS
DOAÇÕES QUE PODERÁ NOS ESCREVER SOBRE NO E-MAIL QUE ESTÁ NO FINAL DESSA
PAGINA. |
|
|
|
|
ARVORE |
FLORES |
|
|
|
|
FRUTO |
FRUTO E FOLHAS |
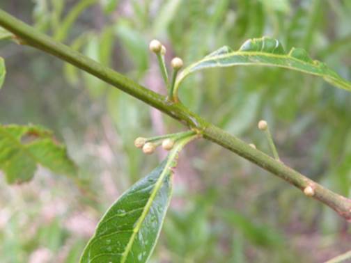
NOMENCLATURA E SIGNIFICADO: AGUAÍ-UNA vem do Tupi, e significa ”Fruta seca” por causa da polpa escassa e muito doce que envolve a única semente; e o adjetivo una refere-se a cor roxo enegrecida do fruto bem maduro. Também é chamada de Abiu roxo do cerrado, sapotinha, leiteiro do mato, Massaranduba vermelha ou do campo, Tadumo e Esfregadinha.
Origem: Espontânea em vários ecossistemas, principalmente em solos vermelhos e arenosos do cerrado e da floresta semidecidua e latifoliada da bacia do rio Paraná, aparecendo nos estados do Maranhão ao Piauí até o estado de São Paulo e Paraná; Brasil. Mais informações no link:
http://servicos.jbrj.gov.br/flora/search/Pouteria_gardneri
Características: Arvore mediana de 4 a 8 metros de altura com copa globosa e cilíndrica, com folhagem decídua (que cai no fim do inverno), com galhos e ramos lactescentes (que soltam leite) dispostos à 45 a 75 graus. O troco geralmente é cilíndrico e retilíneo (direito), medindo 20 a 45 cm de diâmetro; com casca cinzenta a ferruginosa com casca rugosa e sem descamação evidente. Os ramos novos são pubescentes (cobertos de densos pelos). As folhas são inteiras, alternas, espiraladas, reunidas no ápice dos ramos e com nervuras bem evidentes na face dorsal. A lamina tem textura papirácea (de papel), é oblonga (mais longa que larga), com face superior verde brilhante e glabra (sem pelos) e face inferior glauca (esbranquiçada) com indumento ou pelos nas nervuras, medindo 6 a 15 cm de comprimento por 2 a 3,5 cm de largura, com base subaguga e ápice apiculado (com ponta curta). O pecíolo (haste ou suporte) é pubescente e mede 3 a 12 mm de comprimento. As flores surgem em fascículos nas axilas das folhas caídas com 1 a 3 flores sob pedúnculo cilíndrico, pubescente de 05 a 1,5 cm de comprimento. As flores medem 8 a 10 mm quando na faze de botão e tem pétalas esverdeadas quando abertas. Os frutos são bagas arredondadas de 1,6 a 2,6 cm de diâmetro com casca roxa escura e fina, abrigando polpa branca, muito doce, envolvendo 1 semente.
Dicas para cultivo: Planta de crescimento moderado que aprecia qualquer tipo de solos com boa fertilidade natural, que sejam profundos e que tenham rápida drenagem da água das chuvas. Pode ser cultivada em todo o Brasil, em qualquer altitude; pois é extremamente adaptável a secas prolongadas e a geadas leves de até - 3 grau. É importante plantar em local protegido dos ventos, pois este prejudica a floração que é bem delicada. A planta frutifica abundantemente em pleno sol, mais não deve faltar água na época da florada e granagem dos frutos. Começa a frutificar com 5 a 6 anos a depender do clima e tratos culturais. Também pode ser cultivada em ambiente sombreado onde frutifica menos.
Mudas: As sementes são arredondadas e achatadas com casca marrom avermelhada e lisa e com cicatriz no seu comprimento. Após despolpadas, limpas e secas as sementes conservam o poder germinativo por até 6 meses. Recomendo plantar 1 semente por embalagem individual contendo substrato de 40% de terra vermelha, 30% de matéria orgânica e 30% de areia. A germinação se inicia com 60 a 120 e tem percentual de no máximo 60% para sementes frescas. As mudas devem ser formadas em pleno sol e atingem 30 cm com 9 a 10 meses de vida.
Plantando: Recomendo que seja plantada a pleno sol num espaçamento 5 x 5 (em climas subtropicais) ou 6 x 6 m (em climas tropicais) em covas abertas com no mínimo 2 meses antes do plantio, estas devem ter 50 cm nas 3 dimensões e convém misturar 2 pás de areia saibro ou vermelha + 5 pás de matéria orgânica aos 30 cm de terra da superfície da cova; misturando junto + 500 g de calcário e 500 g de cinzas de madeira. A melhor época de plantio é outubro a novembro, convém irrigar 10 l de água após o plantio e a cada 15 dias se não chover, tomando esse cuidado nos primeiros 6 meses após o plantio.
Cultivando: A planta cresce moderadamente e não necessita de cuidados especiais, apenas deve-se cobrir a superfície com capim cortado e eliminar qualquer erva daninha que possa sufocar a planta. Deve-se fazer podas de formação da planta eliminando ramos e brotos da base e todo o excesso de ramos que nascerem voltados para o interior da copa. Adubar com 3 pás de composto orgânico feito de esterco de galinha curtido e 30 gramas de NPK 10-10-10. Distribuir os nutrientes à 5 cm superficialmente a 20 cm do caule no inicio do mês de outubro.
Usos: Frutifica nos meses de janeiro a março. Os frutos são deliciosos para o consumo in natura apesar de ter pouca polpa comestível. A árvore não deve faltar em projetos de reflorestamentos, pois seus frutos alimentam diversas espécies de animais. A madeira é resistente e tem diversos usos para obras externas e internas. As flores tem grande potencial apícola para criação de abelhas indígenas.
Consulte-nos pelo e-mail hnjosue1980@gmail.com ou veja nosso catalogo de mudas disponíveis clicando aqui. – acompanhe-nos no Facebook
Voltar para Frutas do Mato ou Voltar para família das Sapotáceas
.