|
PSIDIUM
BASANTHUM FAMÍLIA DAS MYRTACEAE |
AGRADECEMOS SUA VISITA
E DESEJAMOS QUE AS INFORMAÇÕES LHE SEJAM ÚTEIS PARA AJUDAR A PRESEVAR NOSSA
FLORA E MELHORAR A QUALIDADE DE VIDA. MAS GOSTARIA DE LEMBRAR QUE MUITO TRABALHO,
PESQUISAS E CUSTOS ESTÃO ENVOLVIDOS PARA PODER DISPONIBILIZAR INFORMAÇÕES
GRATUITAMENTE. DESSA FORMA APRECIAREMOS SUA COLABORAÇÃO EM ADQUIRIR OS GUIAS FRUTAS DO MATO OU O LIVRO COLECINANDO FRUTAS V. 2 PARA AJUDAR A MANTER O
PROJETO, OU TAMBÉM ACEITAMOS DOAÇÕES QUE PODERÁ NOS ESCREVER SOBRE NO E-MAIL
QUE ESTÁ NO FINAL DESSA PAGINA. |
|
|
|
|
PLANTA |
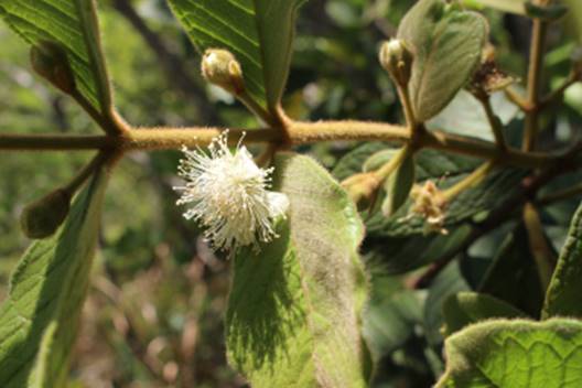
FLORES |
|
|
|
|
FRUTOS |
FRUTOS VERDOLENGOS
|
NOME INDIGENA: ARAÇÁ PILOSO DO CERRADO
Origem: É uma espécie rara, descrita para o cerrado dos estados de Minas Gerais e Goiás, mais encontrei a espécie também no cerrado do estado de São Paulo, Brasil. Mais informações no link: http://servicos.jbrj.gov.br/flora/search/Psidium_basanthum
OBSERVAÇÕES: A espécie rara que foi descoberta em nossas expedições em 2.017. A planta está se desenvolvendo bem, mais lentamente aqui no sitio frutas raras!
PAGINA EM CONSTRUÇÂO
Características: arbusto com folhas e ramos pilosos, e as folhas tem disposição verticilada (três folhas, ou 1 folha acima de um par de folhas). A planta pode ser cultivada da mesma forma que o Araçá catuba (Psidium grandifolium).
Dicas para cultivo: Pode ser plantada em solos bem drenados. É resistente a seca e a baixas temperaturas
Mudas:
Plantando:
Cultivando: Pode ser cultivada em vasos grandes.
Usos: Frutifica nos meses de fevereiro a março. Os frutos podem ser consumidos in natura, e também servem para fazer sucos e sorvetes. As flores tem grande potencial apícola.
Consulte-nos pelo e-mail hnjosue1980@gmail.com ou veja nosso catalogo de mudas disponíveis clicando aqui. – acompanhe-nos no Facebook
Voltar para Frutas do Mato ou Família das Myrtaceas
.